Actualizado 06/09/2017 18:43

El huracán 'Irma' es ya el más potente de 2017 y se mantendrá en categoría 5 al menos en las próximas 48 horas

HURACAN IRMA
EUROPA PRESS

   MADRID, 6 Sep. (EUROPA PRESS/Notimérica) - .-

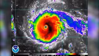
   El huracán Irma es el más potente de 2017 ya que es el primer huracán de categoría 5 en el Atlántico en lo que va de año y mantendrá su potencia al menos durante las próximas 48 horas en el Caribe hasta que el lunes alcance la Península de Florida, según la Agencia Estatal de Meteorología (AEMET).

   El portavoz de la AEMET Jesús Montero ha explicado a Europa Press que Irma es ya "uno de los peores huracanes" conocidos y con "carácter destructivo", pues como Katrina, Mitch, Andrew o Mathew, alcanzaron categoría 5, mientras que hasta ahora, el mayor huracán de este año fue Harvey.

   Además, ha señalado que Irma este miércoles en torno a las 11.00 horas en España ha tenido una presión atmosférica de 914 hectopascales, es decir una presión muy baja, y unos vientos máximos sostenidos de 295 kilómetros.

   Según Montero, la diferencia con Harvey es que aquel permaneció estacionado en el estado de Tejas (Estados Unidos) mientras que Irma se mueve con una trayectoria "limpia" de oeste a noroeste, a unos 285 grados, y a una velocidad de 26 kilómetros por hora.

   En todo caso, ha precisado que los daños ocasionados por Harvey, que fue un huracán de categoría 4, se produjeron porque estuvo estacionario durante mucho tiempo sobre Tejas. "En este caso, la intensidad es superior y los vientos también, pero lleva una trayectoria limpia, por lo que sus efectos pueden ser diferentes", ha comentado.

   En este momento Irma está en el norte de Barbuda y se espera que en las próximas horas se mantenga en categoría 5 o que pueda bajar a categoría 4.

   Además, prevé que entre este miércoles y jueves afectará a Puerto Rico y que este jueves llegue al norte de República Dominicana, Haití y las islas Turcas y Caicos. Montero ha agregado que el viernes y el sábado alcanzarán el suroeste de Bahamas y después, el sábado habrá que confirmar la categoría, aunque parece que afectará a Cuba y que finalmente, en la madrugada del lunes tocará Florida, aunque esto está "a falta de confirmación".

   Respecto al otro lado del Atlántico, ha dicho que "por ahora" este año ni el pasado llegó ningún huracán, tormenta tropical o resto de ellos a España y que lo único que llegó en 2016 afectó a Madeira (Portugal) en forma de tormenta tropical.

   En lo que va de temporada de huracanes de 2017 se han registrado "tres o cuatro importantes" y todos en agosto. Se trató de Franklin, de categoría 1; Gert, de categoría 2; Harvey, de categoría 4 y en la actualidad hay otra tormenta tropical, José, que está situada en el centro del océano Atlántico y "alguna otra depresión más sin que por el momento haya previsión de que puedan convertirse en huracanes".

   "Estamos en la media de los últimos años en número de huracanes, pero aún falta mucha temporada hasta finales de noviembre. No es diferente a otras temporadas, al menos de momento", ha comentado.

Artículos Relacionados

Contenido patrocinado