Actualizado 08/09/2017 16:46

Irma baja a categoría 4 y tras pasar por Cuba y Bahamas llegará a EEUU para pasar a la historia por su tamaño y duración

HURACÁN IRMA
EUROPA PRESS

   MADRID, 8 Sep. (EUROPA PRESS) -

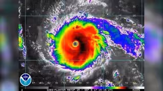
   El huracán Irma ha rebajado su intensidad de categoría 5, el máximo, a categoría 4, y tras su paso por Cuba y Bahamas en las próximas horas, llegará a la Península de Florida en Miami (Estados Unidos) el domingo donde empezará a debilitarse, aunque "todo apunta a que Irma pasará a la historia" tanto por su tamaño como por su duración, según la Agencia Estatal de Meteorología (AEMET).

   La valoración parte del portavoz de la AEMET Jesús Montero que ha explicado a Europa Press que en estos momentos Irma está en el límite entre categoría 5, es decir, vientos sostenidos de 250 kilómetros por hora o más, y categoría 4, entre 210 y 249 kilómetros por hora, de acuerdo con los límites establecidos por el Centro Nacional de Huracanes de Estados Unidos.

   Así, de acuerdo con la escala de Saffir-Simpson, Irma ha bajado a categoría 4 porque a pesar de que tiene vientos sostenidos de hasta 250 kilómetros por hora, frente a los 285 de este jueves, parece que en las próximas horas podría reducir su intensidad aunque Montero no descarta que entre este viernes y sábado vuelva a recuperar puntualmente la categoría 5 ya que "está fluctuando" entre ambos niveles.

   Además, ha dicho que su velocidad permanece estable, a unos 26 kilómetros por hora y que la presión atmosférica de Irma ha aumentado hasta 925 hectopascales.

   Montero ha indicado que el potente huracán atraviesa este viernes entre el noreste de Cuba y las islas Bahamas y que al menos hasta el domingo mantendrá la categoría 4, hasta que toque "de lleno" a Florida. Si bien, apunta que cuando entre en tierra podría bajar a categoría 3, lo que supondrá vientos de entre 178 y 209 kilómetros por hora.

   Sobre los efectos potenciales, el portavoz considera que "todo apunta a que este huracán Irma "pasará a la historia", no por su categoría sino por su tamaño y el número de días con nivel 5.

   Asimismo, ha subrayado la importancia de su tamaño, con 850 kilómetros de diámetro y un punto de ojo del huracán de unos 50 kilómetros de radio, "mayor que el de muchas islas por las que ha pasado".

   Montero ha comentado que cuando el centro del huracán pasa por un punto se produce un momento de viento en calma, que llega después de los vientos más fuertes, que son los que van en la pared del ojo y tras la parte delantera del huracán, que es la más activa.

   Del mismo modo, ha recordado que en este momento en la zona evolucionan también los huracanes Katia y José que "no son muy importantes" y que de no ser por su coincidencia en el tiempo con Irma, "no hubieran tenido casi repercusión".

   Respecto a Katia ha dicho que está frente a las costas de Veracruz (México) y que en la actualidad es de categoría II. "Este es un huracán pequeño", ha apostillado Montero que espera que llegue a la costa durante la madrugada de este sábado y que el domingo se convertirá en tormenta tropical.

   Mayor entidad tiene José, un huracán que ha alcanzado categoría 3 y que este viernes ha aumentado su fuerza hasta alcanzar vientos sostenidos de 200 kilómetros por hora y cuya trayectoria es "típica", ya que se desplaza de oeste al noroeste y ha descartado que pueda interferir con Irma, como "tampoco" lo hará Katia.

   En cuanto a José, ha apuntado que pasará por el noreste de Bahamas y se desviará más hacia las islas Bermudas con vientos de 200 kilómetros por hora, que se desplazan a unos 26 kilómetros por hora de velocidad media. Montero ha añadido que José tiene una trayectoria continua con una presión atmosférica central de 957 hectopascales, es decir que también se trata de un huracán "pequeño en comparación con Irma".

Artículos Relacionados

Contenido patrocinado