Actualizado 17/07/2016 19:08

La tormenta tropical Estelle podría evolucionar en huracán de categoría 1

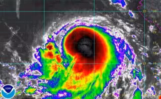
Tormenta Tropical Estelle/Huracán
TWITTER: @CHAAC_TLALOC

   CIUDAD DE MÉXICO, 17 Jul. (Notimex/Notimérica) -

   El Servicio Meteorológico Nacional (SMN) ha estimado que la Tormenta Tropical Estelle --que se ubica en Los Cabos, Baja California (México)-- podría evolucionar a huracán de categoría 1 en la escala Saffir-Simpson, en el transcurso de este domingo.

   Su circulación generará desprendimientos nubosos que a su vez ocasionarán lluvias con intervalos de chubascos en Baja California Sur. Se prevé que el sistema continúe con su desplazamiento hacia el oeste-noroeste, alejándose gradualmente de las costas mexicanas.

   El SMN ha indicado que los dos canales de bajas presiones y el flujo de humedad procedente del Océano Pacífico, el Golfo de México y el Mar Caribe, ocasionarán intervalos de chubascos con tormentas locales fuertes en Sonora, Chihuahua, Durango, Sinaloa, Nayarit, Jalisco, Michoacán y Guerrero.

   Así como lluvias con intervalos de chubascos en Nuevo León, Tamaulipas, San Luis Potosí, Zacatecas, Aguascalientes, Colima, Guanajuato, Querétaro, Hidalgo, Veracruz, Puebla, Tlaxcala, Estado de México, Ciudad de México, Morelos, Oaxaca, Chiapas, Tabasco, Yucatán y Campeche.

   En cuanto a las temperaturas, se estiman valores altos o muy altos en Baja California, Sonora, Coahuila, Nuevo León y Tamaulipas.

   Los bancos se niebla permanecerán sobre la costa oeste durante gran parte de la mañana y de la tarde, con temperaturas muy calurosas durante el día y con vientos de entre 20 y 3 kilómetros por hora.

   

   

Contenido patrocinado