Actualizado 06/09/2017 18:55

El mensaje de Chayanne en Instagram tras la llegada del huracán 'Irma'

Chayanne
INSTAGRAM

   SAN JUAN, 6 Sep. (Notimérica) -

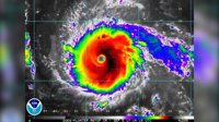
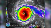
   La llegada del gran huracán 'Irma' preocupa a medio mundo por la fuerza con la que ha llegado a las costas caribeñas. Incluso el cantante puertorriqueño Chayanne ha decidido enviar un mensaje a todos sus seguidores instando a que todos se organicen.

   El artista publicó un vídeo hace unas horas en su cuenta de Instagram, en el que envía palabras de apoyo a los ciudadanos. "He estado pensando en el Caribe, en el huracán, en todo lo que están pasando. Les mando un fuerte abrazo", expresa el artista en el vídeo.

   Asimismo, aconsejó a que "no den las cosas por hecho", alertando a todos los habitantes a que estén enfocados. En la descripción de la publicación escribió: "Cuídense mucho no dejen de seguir las indicaciones de la cruz roja. No duden en ayudar a sus vecinos si lo necesitan. Es momento de union. Que Dios los bendiga", expresa Chayanne.

   

Artículos Relacionados

Contenido patrocinado